Close Menu
    Trending
    • Prince Harry’s Exit From Royal Life Has Left Him Looking ‘Sad’
    • Spain readies for evacuations as a hantavirus-hit cruise ship heads for Canary Islands
    • Could Labour and Conservative party dominance in UK politics be ending? | Elections News
    • After Frederiksen Falls Short in Denmark, Right-Leaning Politician Is Asked to Form Government
    • Market Talk – May 8, 2026
    • Jerry Seinfeld Claims ‘Friends’ Copied His Show
    • UK PM Starmer vows to fight on after local polls drubbing
    • Laura Fernandez sworn in as Costa Rica’s new president | Elections News
    Ironside News
    • Home
    • World News
    • Latest News
    • Politics
    • Opinions
    • Tech News
    • World Economy
    Ironside News
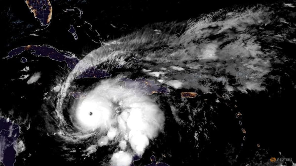
    Home»Trending News»Hurricane Melissa becomes Category 4 as Caribbean braces for impact
    Trending News

    Hurricane Melissa becomes Category 4 as Caribbean braces for impact

    Ironside NewsBy Ironside NewsOctober 26, 2025No Comments2 Mins Read
    Share Facebook Twitter Pinterest LinkedIn Tumblr Reddit Telegram Email
    Share
    Facebook Twitter LinkedIn Pinterest Email


    Authorities mentioned a choice on whether or not to challenge a compulsory evacuation order can be made later within the day, whereas imploring residents to evacuate, with help being supplied.

    Some residents, nonetheless, selected to remain put, and authorities mentioned some have refused to board evacuation buses.

    “We’re using out the storm, we’re not going to go anyplace. Simply sitting down and watch every part, be sure that every part’s working good,” mentioned Douglas Butler, an area boat captain in Port Royal. “I simply take issues straightforward. So long as I’ve my meals, I can eat. That’s crucial factor.”

    The NHC mentioned Melissa is predicted to convey 15 to 30 inches of rain to Jamaica and southern Hispaniola with an area most of as much as 40 inches. Japanese Cuba is predicted to obtain 10 to fifteen inches, with native quantities of as much as 20 inches.

    Dana Morris Dixon, Jamaica’s info minister, mentioned the regional catastrophe company, Caribbean Catastrophe Emergency Administration Company, is able to present help, and several other worldwide companions have already pledged assist.

    “We’ll expertise the depth of the hurricane tomorrow evening Monday going into Tuesday,” Morris Dixon mentioned. “That is rainfall we have not seen earlier than.”



    Source link

    Share. Facebook Twitter Pinterest LinkedIn Tumblr Email
    Previous ArticleGaza Tribunal calls for ‘Israeli perpetrators and enablers’ to face justice | Israel-Palestine conflict News
    Next Article Sydney Sweeney Opts For Bold New Look For Movie Premiere
    Ironside News
    • Website

    Related Posts

    Trending News

    Spain readies for evacuations as a hantavirus-hit cruise ship heads for Canary Islands

    May 9, 2026
    Trending News

    UK PM Starmer vows to fight on after local polls drubbing

    May 8, 2026
    Trending News

    Rubio questions allies’ support on Iran following Italy talks

    May 8, 2026
    Add A Comment
    Leave A Reply Cancel Reply

    Top Posts

    Trump awards Boeing much-needed win with F-47 fighter jet contract

    March 21, 2025

    Spring equinox 2026: when is the first day of spring and what does it mean?

    February 25, 2026

    BREAKING: President Trump Orders Investigation Into “Who Ran the United States While President Biden Was in Office” Amid Growing Autopen Scandal | The Gateway Pundit

    June 5, 2025

    Mbappe, Bellingham score as Real Madrid edge Barcelona in fiery El Clasico | Football News

    October 26, 2025

    Brooklyn Beckham’s Ex Recalls Family Causing Her ‘Anxiety’

    April 13, 2026
    Categories
    • Entertainment News
    • Latest News
    • Opinions
    • Politics
    • Tech News
    • Trending News
    • World Economy
    • World News
    Most Popular

    Australian, Palestinian lawyers seek police probe of Israeli president | Crimes Against Humanity News

    January 23, 2026

    China reroutes exports via south-east Asia in bid to dodge Trump’s tariffs

    July 7, 2025

    Tariff refunds could take years amid US Supreme Court ruling, experts warn | Trade War News

    February 20, 2026
    Our Picks

    Prince Harry’s Exit From Royal Life Has Left Him Looking ‘Sad’

    May 9, 2026

    Spain readies for evacuations as a hantavirus-hit cruise ship heads for Canary Islands

    May 9, 2026

    Could Labour and Conservative party dominance in UK politics be ending? | Elections News

    May 9, 2026
    Categories
    • Entertainment News
    • Latest News
    • Opinions
    • Politics
    • Tech News
    • Trending News
    • World Economy
    • World News
    • Privacy Policy
    • Disclaimer
    • Terms and Conditions
    • About us
    • Contact us
    Copyright Ironsidenews.comAll Rights Reserved.

    Type above and press Enter to search. Press Esc to cancel.